一、骨折愈合过程
骨折愈合(fracture healing)过程可分为以下几个阶段:
(一)血肿形成
骨折时除骨组织被破坏外,也一定伴有附近软组织的损伤或撕裂。骨组织和骨髓都富含血管,骨折后常伴有大量出血,填充在骨折的两断端及其周围组织间,形成血肿。一般在数小时内血肿发生血液凝固。和其他组织的创伤一样,此时在骨折局部还可见轻度中性粒细胞浸润。
骨折时由于骨折处营养骨髓、骨皮质及骨膜的血管随之发生断裂,因此在骨折发生的1~2天内,可见到骨髓造血细胞的坏死,骨髓内脂肪的析出,以后被异物巨细胞包绕形成脂肪“囊”(fat“cyst”)。骨皮质亦可发生广泛性缺血性坏死,骨坏死在镜下表现为骨陷窝内的骨细胞消失而变为空穴。如果骨坏死范围不大,可被破骨细胞吸收,有时死骨可脱落、游离而形成死骨片。
(二)纤维性骨痂形成
大约在骨折后的2~3天,从骨内膜及骨外膜增生的纤维母细胞及新生毛细血管侵入血肿,血肿开始机化。这些纤维母细胞实质上多数是软骨母细胞及骨母细胞的前身。上述增生的组织逐渐弥合,填充并桥接了骨折的断端,继而发生纤维化形成纤维性骨痂,或称暂时性骨痂(provisional callus)肉眼上骨折局部呈梭形肿胀。约经1周左右,上述增生的肉芽组织及纤维组织部分可进一步分化,形成透明软骨。透明软骨的形成一般多见于骨外膜的骨痂区,而少见于骨髓内骨痂区,可能与前者血液供应较缺乏有关。此外,也与骨折断端的活动度及承受应力过大有关。但当骨痂内有过多的软骨形成时会延缓骨折的愈合时间。
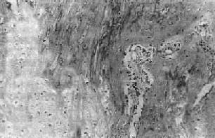
(三)骨性骨痂形成
骨折愈合过程的进一步发展,是骨母细胞产生新生骨质逐渐取代上述纤维性骨痂。开始形成的骨质为类骨组织(图17-1),以后发生钙盐沉着,形成编织骨(woven bone),即骨性骨痂(图17-2)。纤维性骨痂内的软骨组织,和骨发育时的软骨化骨一样,发生钙盐沉着而演变为骨组织,参与骨性骨痂的形成。此时所形成的编织骨,由于其结构不够致密,骨小梁排列比较紊乱,故仍达不到正常功能需要。

图17-1 骨痂
左侧为软骨性骨痂,右侧为类骨组织

图17-2 骨痂
在幼稚编织骨骨小梁表面的骨母细胞排列成行
按照骨痂的细胞来源及骨痂的部位不同,可将骨痂分为外骨痂和内骨痂。
1.外骨痂(external callus)或骨外膜骨痂(periosteal callus),是由骨外膜的内层即成骨层细胞增生,形成梭形套状,包绕骨折断端。如上所述,以后这些细胞主要分化为骨母细胞形成骨性骨痂,但也可分化为软骨母细胞,形成软骨性骨痂。在长骨骨折时以外骨痂形成为主。
2.内骨痂(internal callus)由骨内膜细胞及骨髓未分化间叶细胞演变成为骨母细胞,形成编织骨。内骨痂内也可有软骨形成,但数量比外骨痂为少。
(四)骨痂改建或再塑
上述骨痂建成后,骨折的断端仅被幼稚的、排列不规则的编织骨连接起来。为了符合人体生理要求而具有更牢固的结构和功能,编织骨进一步改建成为成熟的板层骨,皮质骨和髓腔的正常关系也重新恢复。改建是在破骨细胞的骨质吸收及骨母细胞新骨质形成的协调作用下进行的,即骨折骨所承受应力最大部位有更多的新骨形成而机械性功能不术需要的骨质则被吸收,这样就使骨折处上下两断端按原来的关系再连接起来,髓腔也再通。
在一般情况下,经过上述步骤,骨折部恢复到与原来骨组织一样的结构,达到完全愈合。
二、影响骨折愈合的因素
1.全身性因素①年龄:儿童骨组织再生能力强,故骨折愈合快;老年人骨再生能力较弱,故骨折愈合时间也较长。②营养:严重蛋白质缺乏和维生素C缺乏可影响骨基质的胶原合成;维生素D缺乏可影响骨痂钙化,妨碍骨折愈合。
2.局部因素①局部血液供应:如果骨折部血液供应好则骨折愈合快,如肱骨的外科颈(上端)骨折;反之,局部血液供应差者,骨折愈合慢,如股骨颈骨折。骨折类型也和血液供应有关:如螺旋形或斜形骨折,由于骨折部分与周围组织接触面大,因而有较大的毛细血管分布区域供应血液,愈合较横形骨折快。②骨折断端的状态:骨折断端对位不好或断端之间有软组织嵌塞等都会使愈合延缓甚至不能接合。此外,如果骨组织损伤过重(如粉碎性骨折),尤其骨膜破坏过多时,则骨的再生也较困难。骨折局部如出血过多,血肿巨大,不但影响断面的接触,且血肿机化时间的延长也影响骨折愈合。③骨折断端的固定:断端活动不仅可引起出血及软组织损伤,而且常常只形成纤维性骨痂而难有新骨形成。为了促进骨折愈合,良好的复位及固定是必要的。但长期固定可引起骨及肌肉的废用性萎缩,也会影响骨折愈合。④感染:开放性骨折(即骨折处皮肤及软组织均断裂,骨折处暴露)时常合并化脓性感染,延缓骨折愈合。
骨折愈合障碍者,有时新骨形成过多,形成赘生骨痂,愈合后有明显的骨变形,影响功能的恢复。有时纤维性骨痂不能变成骨性骨痂并出现裂隙,骨折两断端仍能活动,形成假关节,甚至在断端有新生软骨被覆,形成新关节。