一、病毒性心肌炎
病毒性心肌炎(viral myocarditis)颇为常见,是由亲心肌病毒引起的原发性心肌炎症,常累及心包,引起心包心肌炎。事实上,所谓特发性心肌炎极可能是因病毒感染引起。
【病因和发病机制】
可引起心肌炎的病毒种类颇多,其中最常见的是柯萨奇(Coxsackie)病毒、ECHO病毒(即人肠孤病毒)、风疹病毒、流行性感冒病毒、腮腺炎病毒等。由于在妊娠最初3个月内感染柯萨奇病毒和风疹病毒时可引起胎儿的先天性心脏畸形,因此,这两种病毒占有特别重要的地位。人类的心肌炎以柯萨奇病毒B组感染最为常见。一般而言,亲心肌病毒可直接破坏心肌细胞,但也可通过T细胞介导的免疫反应间接地破坏心肌细胞。由于此类病毒衣壳的糖蛋白分子结构与心肌细胞膜的糖蛋白相似,故在感染后,机体所产生的抗体(激活补体的抗体及中和病毒的抗体)既针对病毒,亦针对心肌细胞。因此,当细胞毒性T细胞被致敏后,即可破坏被病毒感染的心肌细胞。
【病变】
本病病变依患者年龄不同而有所不同。妊娠最初3个月的胎儿感染风疹病毒时,可引起心内膜下心肌的无反应性心肌细胞坏死。在妊娠后期,胎儿感染柯萨奇病毒时则可引起全心炎,大多伴有心骨膜纤维弹性组织增生。初生儿的病毒性心肌炎可见到心肌细胞坏死及粒细胞浸润。其后,代之以巨噬细胞、淋巴细胞、浆细胞浸润及肉芽组织形成(图8-41)。在成人,多累及心房后壁、室间隔及心尖区,有时可累及传导系统。镜下,主要病变为坏死性心肌炎。晚期,可见到明显的心肌间质纤维化,伴有代偿性心肌肥大及心腔扩张(充血性心肌病)。

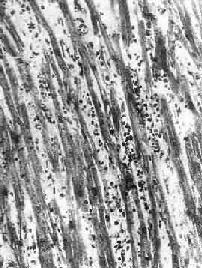
图8-41 病毒性心肌炎
心肌间质内有弥漫性淋巴细胞及组织细胞浸润
二、细菌性心肌炎
细菌性心肌炎(bacterial myocarditis)可由细菌直接感染,或细菌产生的毒素对心肌的作用,或细菌产物所致的变态反应而引起。
1.心肌脓肿常由化脓菌引起,如葡萄球菌、链球菌、肺炎双球菌、脑膜炎双球菌等。化脓菌来源于脓毒败血症时的转移性细菌菌落,或来自细菌性心内膜炎时的化脓性血栓栓子。肉眼观,心脏表面及切面可见多发性黄色小脓肿,周围有充血带。镜下,脓肿内心肌细胞坏死液化,脓腔内有大量脓细胞及数量不等的细菌集落。脓肿周围心肌有不同程度的变性、坏死,间质内有中性粒细胞及单核细胞浸润。
2.白喉性心肌炎白喉杆菌可产生外毒素,一方面可阻断心肌细胞核蛋白体的蛋白质合成,另一方面可阻断肉碱介导的长链脂肪酸运入线粒体,导致心肌细胞脂肪变性和坏死。镜下,可见灶状心肌变性坏死(图8-42),心肌细胞出现嗜酸性变、肌浆凝聚、脂肪变性及肌浆溶解。病灶内可见淋巴细胞、单核细胞及少数中性粒细胞浸润。病灶多见于右心室壁,愈复后形成细网状小瘢痕。有的病例出现弥漫性心肌坏死,可导致心性猝死。

图8-42 白喉性心肌炎
心肌纤维变性及坏死
3.非特异性心肌炎在上呼吸道链球菌感染(急性咽峡炎、扁桃体炎)及猩红热时,可并发急性非风湿性心肌炎。其发病机制尚未明了,可能是由链球菌毒素引起。病变是间质性心肌炎。镜下,心肌间质结缔组织内及小血管周围有淋巴细胞、单核细胞浸润,心肌细胞有程度不等的变性、坏死。
三、寄生虫性心肌炎
寄生虫性心肌炎(parasitic myocarditis)常见的有以下两种类型:
1.弓形虫性心肌炎此型心肌炎由鼠弓形虫(Toxoplasma gondii)感染而引起。人类主要因食入含有包囊的未煮熟肉类而感染。弓形虫进入人体后,经血流到达单核巨噬细胞系统及各种组织,并在细胞内繁殖。弓形虫侵入心肌细胞后很快繁殖,形成集合体,亦称假包囊。心肌细胞很快破裂,病原体进入周围组织。被破坏的心肌细胞周围有淋巴细胞、单核细胞浸润。愈复后有瘢痕形成。约半数患者因心力衰竭致死。
2.Chagas心肌炎此种心肌炎由原虫枯氏锥虫(trypanosoma cruzi)感染引起,流行于拉丁美洲各国。病情严重,死亡率高。可引起灶状或弥散性心肌坏死,周围有淋巴细胞、单核细胞浸润。心腔扩张,心室壁(主要在心尖区)变薄,常形成室壁瘤,伴有心腔内附壁血栓形成。
四、免疫反应性心肌炎
此类心肌炎见于一些变态反应性疾病,如风湿病、类风湿性关节炎、系统性红斑狼疮、结节性多动脉炎等。其中以风湿性心肌炎最为常见,在心肌间质结缔组织内可见到典型的风湿性肉芽肿(详见本章第六节)。
此外,某些药物可引起变态反应性心肌炎,如磺胺、抗生素(青霉素、四环素、链霉素、金霉素等)、消炎药(保泰松、消炎痛)、抗抑郁药(阿密曲替林)、以及抗癫痫药(苯妥因)等。病变主要累及左心室、室间隔。镜检下,常表现为间质性心肌炎。可引起心肌细胞坏死溶解及淋巴细胞、浆细胞以及引人注目的嗜酸性粒细胞浸润。
五、孤立性心肌炎
孤立性心肌炎(isolated myocarditis)亦称特发性心肌炎(idiopathic myocarditis),至今原因不明。因其首先由Fiedler(1899)所描述,又称Fiedler心肌炎。多见于20~50岁的青、中年人。急性型常导致心脏扩张,可突然发生心力衰竭致死。
【病变】
依组织学变化分为两型:
1.弥漫性间质性心肌炎(diffuse interstitial myocarditis)镜下,心肌间质和小血管周围有多量淋巴细胞、浆细胞和巨噬细胞浸润。有时也可见到嗜酸性粒细胞和少量中性粒细胞。心肌细胞较少发生变性、坏死。
2.特发性巨细胞性心肌炎(idiopathic giant cell myocarditis)病变特点是心肌内有局灶性坏死及肉芽肿形成(图8-43)。病灶中心部可见红染、无结构的坏死物,周围有淋巴细胞、浆细胞、单核细胞和嗜酸性粒细胞浸润,混有许多多核巨细胞。巨细胞的形态、大小各异,可为异物型或Langhans型多核巨细胞(图8-44)。

图8-43 特发性巨细胞性心肌炎
图示左心室心肌的炎症及坏死灶(大小不等的灰白色区域),男性,37岁

图8-44 特发性巨细胞性心肌炎
心肌层内可见多数单核细胞和多核巨细胞